RĪGA, 8. septembris — Sputnik. Viesuļvētra "Hosē" pastiprinās un virzās no Atlantijas okeāna centrālās daļas uz rietumiem — Karību jūras baseina virzienā, vēsta ASV Viesuļvētru prognozēšanas nacionālais centrs.
Jaunākie dati liecina, ka viesuļvētra "Hosē" kļuvusi spēcīgāka, tai piešķirta 3. kategorija pēc piecu baļļu skalas. Iepriekš ziņots, ka vēja ātrums pārsniedz 165 kilometrus stundā. Tolaik viesuļvētrai bija piešķirta 2. kategorija. Tādējādi notika prognozētā viesuļvētras pastiprināšanās. Pašlaik vēl nav saņemti dati par "Hosē" vēja ātrumu.
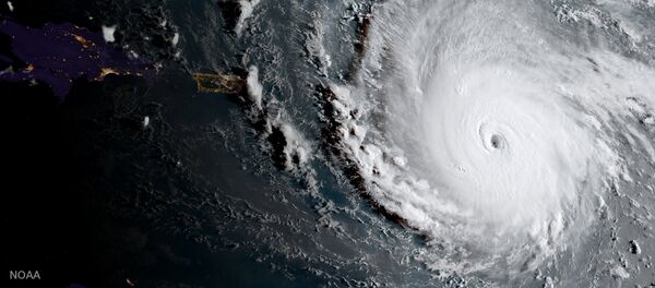
Patlaban Karību baseinā plosās arī spēcīgā "Irma", kam piešķirta 5. kategorija. "Irmas" vēja ātrums sasniedz 300 kilometrus stundā. ASV prezidents Donalds Tramps izsludinājis ārkārtas stāvokli Virdžīnu salās. Kļuvis zināms, ka viesuļvētrā gājuši bojā 8 cilvēki.
Iepriekš spēcīgā viesuļvētra "Hārvijs" radīja spēcīgus plūdus Teksasas štatā ASV. Stihija applūdināja ielas, sagrāva mājas, cietuši un gājuši bojā cilvēki.

